Потепление в Тихом океане увеличивает опасность циклонов для Японии, Кореи и КитаяКатегория: Непознанное
Справка:
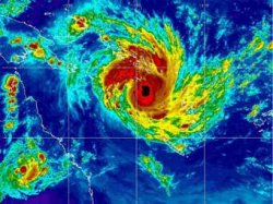
Учёные в Сеульском национальном университете опубликовали исследование, по которому ясно, что потепление в западной части Тихого океана воды вызовет рост чисел тропических циклонов, которые обрушатся на Восточную Азию. Как спрогнозировал глава исследовательской группы, предположить можно, что еще боле сильные чем ранее циклоны обрушатся на Восточную Азию. Данные ученых показали, что с 1977 года по 2010 год показатели средних температур воды на поверхности в западных частях Тихого океана были выше значительно показателей для восточной и центральной части океана. По прогнозам ученых однако понадобиться больше исследований, которые бы подтвердили версию, что та температурная разница воды в Тихом океане является как раз результатом влияния человека и связанного с ним глобального потепления. Велось данное исследование примерно три десятка лет и опубликовали его впоследствии в журнале Института Физики Британии. |
Автор: Anna
Уважаемый посетитель, Вы зашли на сайт как незарегистрированный пользователь. Мы рекомендуем Вам зарегистрироваться либо зайти на сайт под своим именем.

В Гватемале открылись врата ада

